Newport

Offers Around £25,000

The land comprises a small enclosure of amenity land with access off the country lane on Moreton Bank, situated on the edge of the village of Moreton with its church and village hall. In close proximity are the larger villages of Gnosall and Church Eaton, having a range of amenities and the market town of Newport is approximately 5 miles away.

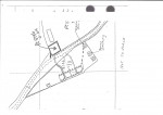
The land is enclosed by native hedges and with gated access, recently having been cut and measuring 13.10m (max) x 13.3m (max) or thereabouts (see plan).

Additional Information

TENURE: We are advised by the Vendors, that the property is held Freehold and vacant possession will be given upon completion.

SERVICES: We understand that no services are currently connected.

VIEWING: Strictly by prior appointment with the Agents. Tel: 01952 812519 Email: sales@tempertons.co.uk

DIRECTIONS: From the A41 bypass on the outskirts of Newport, proceed south towards Wolverhampton. Turn left opposite Pave Lane, signposted Stockton and Moreton. Follow this road/lane passing Newport Dog Park, at the fork bear left continuing to Moreton. Turn next left (before the village) at Moreton Park Barns and after a short distance the land will be found on the right hand side opposite Moreton Bank Cottages.

Agents Notes

1. Whilst we endeavour to make our sales details accurate and reliable, if there is any point which is of particular importance to you, if you wish to ask a specific question about this property, please speak to the sales advisor who has inspected the property and we will try to check the information for you.

The information in these property details is believed to be accurate but Tempertons does not give, nor does any Partner or employee have authority to give, any warranty as to the accuracy of any statement, written, verbal or visual. You should not rely on any information contained herein.

2. Please note that we have not tested the equipment/appliances and services in the property. Interested applicants are advised to commission their own appropriate investigations before formulating their offer to purchase.

3. Our room sizes are quoted in metres on a wall-to-wall basis to the nearest one tenth of a metre. The imperial equivalent is only intended as an approximate guide for those not yet conversant with metric measurements. Measurements should not be used for ordering fitments, new carpets or furniture etc.

4.The text, photographs and plans are for guidance only and are not necessarily comprehensive. It should not be assumed that the property has all necessary planning, building regulation or other consents and potential purchasers must satisfy themselves by inspection or otherwise.

5. AML Regulations: to ensure compliance with the latest Anti Money Laundering Regulations, all intending purchasers will be asked to produce ID to enable us to complete verification checks and to apply ongoing monitoring until the transaction ends. Whilst this is the responsibility of Tempertons, we may use the services of Guild365 or similar companies to verify Clients' identity. This is not a credit check and therefore will have no effect on your credit history. You agree for us to complete these checks and the cost of these checks is £30.00 inc. VAT per buyer. This is paid in advance, when an offer is agreed and prior to a Memorandum of Sale being issued. This charge is non-refundable.

HOMEBUYERS SURVEYS AND VALUATIONS undertaken by Chartered Surveyors with considerable experience in preparing a wide range of surveys and valuations, to suit all requirements. Details of fees given without obligation.

PROPERTY LETTING – Tempertons have considerable experience in the Letting and Management of all types of residential property. Further details given without obligation.

Get an instant online valuation

Find out how much your property is worth