Southall Road, Dawley, Telford

£150,000 Offers In The Region Of

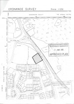
The land is located on the southern fringe of Dawley fronting Southall Road and having a former telephone exchange building (now redundant). The land extends to 692 sq.m (827 sq. yds) or thereabouts, is regularly shaped and bounded by majority chain link fencing.

Outline planning permission has been granted by the Borough of Telford and Wrekin for the erection of three terraced dwellings (REF: TWC/2020/0893). A copy of the permission approvals are available upon request.

Additional Information

TENURE: We are advised by the Vendor, that the property is held Freehold and vacant possession will be given upon completion.

SERVICES: Mains services are understood to be available in Southall Road, but prospective purchasers should make their own enquires in this respect.

VIEWING: On site at any reasonable time with a copy of these sales particulars.

Agents Notes

1. Whilst we endeavour to make our sales details accurate and reliable, if there is any point which is of particular importance to you, if you wish to ask a specific question about this property, please speak to the sales advisor who has inspected the property and we will try to check the information for you.

The information in these property details is believed to be accurate but Tempertons does not give, nor does any Partner or employee have authority to give, any warranty as to the accuracy of any statement, written, verbal or visual. You should not rely on any information contained herein.

2. Please note that we have not tested the equipment/appliances and services in the property. Interested applicants are advised to commission their own appropriate investigations before formulating their offer to purchase.

3. Our room sizes are quoted in metres on a wall-to-wall basis to the nearest one tenth of a metre. The imperial equivalent is only intended as an approximate guide for those not yet conversant with metric measurements. Measurements should not be used for ordering fitments, new carpets or furniture etc.

4.The text, photographs and plans are for guidance only and are not necessarily comprehensive. It should not be assumed that the property has all necessary planning, building regulation or other consents and potential purchasers must satisfy themselves by inspection or otherwise.

5. AML Regulations: to ensure compliance with the latest Anti Money Laundering Regulations, all intending purchasers will be asked to produce identification documents prior to the issue of sale confirmation.

HOMEBUYERS SURVEYS AND VALUATIONS undertaken by Chartered Surveyors with considerable experience in preparing a wide range of surveys and valuations, to suit all requirements. Details of fees given without obligation.

PROPERTY LETTING – Tempertons have considerable experience in the Letting and Management of all types of residential property. Further details given without obligation.

Get an instant online valuation

Find out how much your property is worth